Legislativo Judiciário Executivo

CMFor autoriza venda de área de proteção ambiental no bairro Luciano Cavalcante a setor privado

A propriedade tem 2.833,20 m² e fica no encontro da avenida Washington Soares com a rua conhecida como República da Armênia

Escrito por
Ingrid Campos ingrid.campos@svm.com.br
Imagem aérea do Google Maps mostrando uma área urbana com terrenos e construções. No centro-esquerda, há um grande terreno de terra exposta cercado por vias asfaltadas, identificado como “R. Interna”. Ao lado direito desse terreno, aparece a Rua República da Armênia, margeada por alguns prédios e estacionamentos. À direita, em destaque, está a Avenida Washington Soares, uma via larga com canteiro central. Também são visíveis ruas adjacentes, como Rua Vereador Pedro Paulo (na parte inferior) e Rua Gerardo Barros Teixeira (mais acima, à direita). Na parte superior da imagem, nota-se uma área verde com o marcador “Riacho Água Fria – Acesso recente”.
Legenda: Área de desafetação e alienação prevista em projeto da Prefeitura.
Foto: Reprodução/Google Maps

A Câmara Municipal de Fortaleza (CMFor) autorizou, nesta quarta-feira (1º), a desafetação e alienação de um terreno público no bairro Luciano Cavalcante, visando a instalação de um polo comercial de grande porte. No local, existem terrenos separados por uma rua que não chegou a ser implantada pela Prefeitura, constante apenas “nos títulos imobiliários lindeiros”. 

A propriedade tem 2.833,20 m² e fica no encontro da avenida Washington Soares com uma rua sem denominação oficial (SDO), popularmente conhecida como rua República da Armênia.

Veja também

O objetivo, então, é unir dois espaços para viabilizar a venda do imóvel público por R$ 2.850.482,52 sem licitação. Há, ainda, a possibilidade de a transação ser feita, em parte, pelo recebimento de trecho do terreno limítrofe, avaliado em R$ 782.645,19.

O montante remanescente seria quitado por pagamento em moeda destinado ao Fundo Municipal Imobiliário (Fimob).

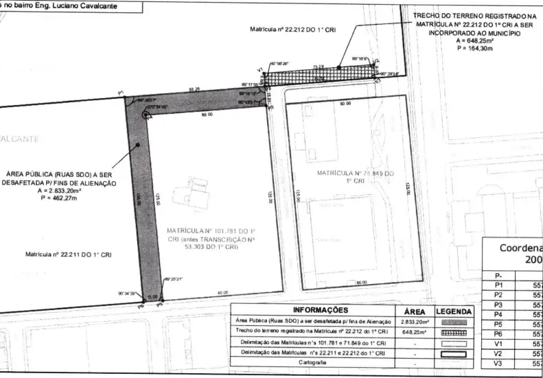
Planta da área em desafetação, no bairro Engenheiro Luciano Cavalcante.
Legenda: Planta da área em desafetação, no bairro Engenheiro Luciano Cavalcante.
Foto: Reprodução/CMFor

Os valores foram estipulados em laudo técnico elaborado em 2023, ainda na Gestão Sarto (2021-2024), quando o projeto foi enviado à Câmara. 

À época, o texto chegou a ser aprovado na Comissão Conjunta de Constituição e Meio Ambiente, mas demorou quase um ano para voltar ao expediente do plenário. O andamento foi em vão, já que houve retirada imediata de pauta. 

Mais de 10 meses depois, já sob nova condução na Câmara e na Prefeitura, o projeto voltou a ser pautado nessa segunda-feira (29), recebeu aval da Comissão de Constituição e Justiça (CCJ) e teve redação final aprovada em plenário nesta quarta. 

Em discussão única, o placar ficou em 23 votos favoráveis contra 12, na terça (30).

Votaram contra: Gabriel Aguiar (Psol), Adriana Gerônimo (Psol), Luciano Girão (PDT), Dr. Vicente (PT), Inspetor Alberto (PL), Jorge Pinheiro (PSDB), Julierme Sena (PL), Marcelo Mendes (PL), PP Cell (PDT), Priscila Costa (PL), Professora Adriana Almeida (PT) e Soldado Noélio (União).

A matéria será enviada para sanção do prefeito Evandro Leitão (PT).

Repercussão na Câmara

Para a Prefeitura, o ato beneficiará diretamente a população ao gerar “novos empregos, aumento na circulação de mercadorias e o consequente aumento na arrecadação de impostos”, além da valorização da região.

Além disso, ainda segundo o texto, a transação não implicará em ônus financeiro ao Município, incluindo-se todos os custos com escrituração e registro, inclusive de abertura de matrícula, desmembramento e demais ações cartoriais, os quais correrão por conta da permutante e pactuante com o Município de Fortaleza.

Já alguns vereadores pesaram outros efeitos – ambientais, legais e de avaliação de valor. Adriana Gerônimo, por exemplo, se disse surpresa com o retorno da discussão na Câmara.

“Esse projeto ganhou uma repercussão bastante negativa aqui em Fortaleza (em 2023), e a pressão foi tão grande que esse projeto foi retirado de pauta”, lembrou.

A parlamentar destacou, ainda, que o novo Plano Diretor de Fortaleza define a área como uma Zona de Preservação Ambiental (ZPA) porque nela passa um rio. 

“A ganância é tão grande que, há alguns anos, alguém desviou o curso natural do rio para garantir que hoje (o projeto) fosse mais fácil de ser aprovado. Mas a atual gestão de Fortaleza, prefeito Evandro Leitão, junto com todo esse processo de revisão do Plano Diretor, identificou que aquela área é uma ZPA, exatamente por esse recurso hídrico que é algo caro pra cidade”, pontuou.

“O terreno em questão é uma área que até pouco tempo era uma área de floresta, de carnaubal e por onde corria um riacho importantíssimo. [...] Não é passivo de ser desmatado, salvo em caso de interesse social, que precisa ser declarado anteriormente pela Prefeitura de Fortaleza, coisa que nunca ocorreu”, complementou Gabriel Aguiar.

Além disso, comparando a cifra indicada no laudo à área do terreno, o vereador Luciano Girão calculou que o metro quadrado da propriedade seria vendido por pouco mais de R$ 1 mil. O valor fica bem abaixo das estimativas de mercado.

Considerando imóveis residenciais, segundo o Índice FlipeZAP, o preço de venda do metro quadrado no bairro Engenheiro Luciano Cavalcante em 2024 foi de R$ 9.498. Girão ainda citou o terreno de permuta, que “não vai servir de nada para o Município”.

“O valor que querem pagar por esse terreno é de R$ 782.645,19, aí fazendo uma ‘matematicazinha básica’, o valor do metro quadrado fica em R$ 1207,32. Ou seja, eles, que cometeram crime ambiental, querem pegar um terreno do município R$ 201 mais barato e querem empurrar um terreno mais caro, que não serve para o Município”, disse, ainda.

Este conteúdo é útil para você?
Assuntos Relacionados